ItalianoEnglish
2 Camere 1 Bagni 2 Box/Posti auto 110 m2
Caratteristiche principali
Codice
V007853
Prezzo
320.000 EUR
Classe
A+ (0,8)
Locali
4
Mq Giardino
144
Altre caratteristiche e accessori
Stato Immobile
In Costruzione
Grado
Signorile
Orientamento
Sud Ovest
Giardino
Privato
Riscaldamento
Autonomo
Tipo Riscaldam.
Caldaia a Condensazione
Tipo Impianto
Pavimento
Fonte Energetica
Fotovoltaico
Raffrescamento
Pavimento
Accessori
Aria Condizionata, Cancello Elettrico, Impianto Domotica, Pannelli Solari, Ripostiglio
Sarzana.
Zona Nave.
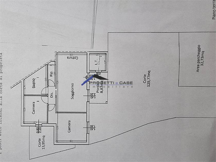
Ristrutturazione completa di edificio bifamiliare con finiture extra lusso personalizzabili . Trattasi di appartamento sito al piano terra con giardino privato e 2 posti auto interni . L'immobile si compone di :
ingresso da ampio porticato , soggiorno con cucina a vista, 2 camere da letto, spazioso bagno, ripostiglio e locale tecnico. Ottima esposizione sud/ovest .Impianto di riscaldamento a pavimento integrato con pompe di calore per acqua calda sanitaria e sistema di raffrescamento a split localizzati, con funzionalità differenziata, che garantisce l’efficienza energetica, il risparmio economico, la gestione flessibile delle stagionalità, e l’aderenza alle normative future sull'edilizia abitativa. Classe energetica A+++
Pannelli FOTOVOLTAICI per 3,5 kw .
Nessun condominio.
L'immobile gode , se acquistato entro il 31 dicembre 2026 , con detrazioni
ACQUISTO PRima CASA con residenza , di una detrazione pari ad €. 40.000,00 da recuperare in 10 anni. Pertanto la casa risulterà acquistata ad €. 280.000,00, anzichè €.320.000,00.
ACQUISTO SECONDA CASA LA DETRAZIONE È PARI AD EURO 28.000,00
Pronta Consegna
Le foto con arredi e giardino sono state inserite artificialmente.
Cookie preference